 Adlbauer Teocchi coll La Maboke, Central African Republic KM.jpg)
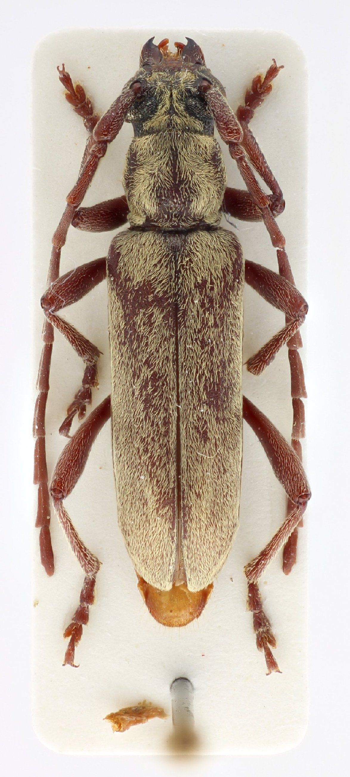
Specimen Type: holotype Institution: Teocchi Coll (BMNH) Photographer: Keita Matsumoto Collection Location: 26 km W Outjo, Namibia 76872
|
_Adlbauer_Central_Africa_Cahiers.jpg)
Specimen Type: holotype Sex: m Institution: Teocchi Collection Determiner: Les Cahiers Magellanes Collection Location: Central African Republic 65057
|