_Han_Niisato_Papagaran_Kalimantan_Indonesia_Borneo.jpg)
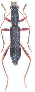
Specimen Type: holotype Sex: m Institution: EELE Entomology laboratory, Ehime University Museum, Matsuyama, Japan Determiner: Spec Bulletin Japanese Society of Coleopterology Collection Location: Papagaran, Kalimantan, Borneo 60754
|
_Han_Niisato_Crocker_Range_Sabah_E_Malaysia_Borneo.jpg)
Specimen Type: allotype Sex: f Institution: EELE Entomology laboratory, Ehime University Museum, Matsuyama, Japan Determiner: Spec Bulletin Japanese Society of Coleopterology Collection Location: Crocker Range, Sabah, Borneo 60755
|