New Search Family, Subfamily and Tribe List

SubFamily Cerambycinae

Tribe Clytini
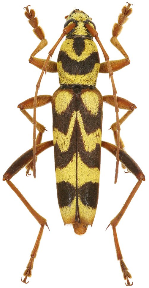
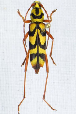
Demonax protogenes (Newman, 1842)

Sex: m
Institution: Viktora Collection
Photographer: Petr Viktora
Collection Location: Aurora, E Luzon, Philippines
75067


Sex: m
Photographer: Estan Cabigas
Collection Location: Philippines
36993


Sex: f
Photographer: Estan Cabigas
Collection Location: Philippines
36992

130425