_Holzschuh_Sri_Lanka_E_Prov_Pottuvil.jpg)
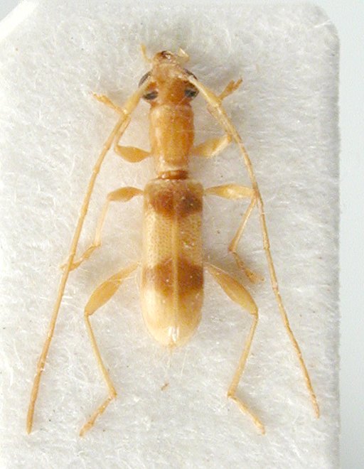
Stenhomalus vesculus Holzschuh Specimen Type: holotype Sex: f Institution: Holzschuh Collection Determiner: Koleopterologische Rundschau Collection Location: Pottuvil, E Province, Sri Lanka 61124
|

Institution: JCPC Jim Cope Collection, San Jose, California, USA now at CSCA, Sacramento Photographer: Larry G. Bezark Determiner: Ole Mehl Collection Location: vic Panama, E Province, Sri Lanka 98972
|