_Gress_Rond_BPBM_NO_now_Schmidt.jpg)
Pachyteria violaceothoracica Gressitt & Rondon Specimen Type: holotype Sex: f Institution: BPBM Bernice P. Bishop Museum, Honolulu, Hawaii, USA Photographer: Nobuo Ohbayashi Collection Location: région de Ban Van Heua, Vientiane Province, Laos 45045
|
_Gressitt_Rondon_Laos_Cope.jpg)
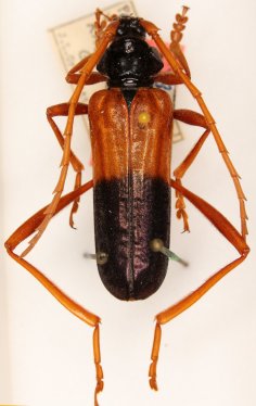
Pachyteria violaceothoracica Gressitt & Rondon Specimen Type: holotype Sex: f Institution: BPBM Bernice P. Bishop Museum, Honolulu, Hawaii, USA Photographer: Jim Cope Collection Location: région de Ban Van Heua, Vientiane Province, Laos 55394
|