 Holzschuh coll Langtang Khola, Sherpagaon, C Nepal, Nawakot LD.jpg)
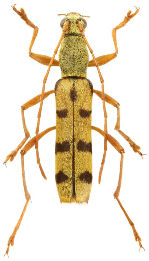
Specimen Type: holotype Sex: m Institution: Holzschuh Collection Photographer: Lubo Dembický Collection Location: Langtang Khola, Sherpagaon, C Nepal, Nawakot 89685
|
 Holzschuh coll Langtang Khola, Sherpagaon, C Nepal, Nawakot LD.jpg)
Specimen Type: paratype Sex: f Institution: Holzschuh Collection Photographer: Lubo Dembický Collection Location: Langtang Khola, Sherpagaon, C Nepal, Nawakot 89686
|