New Search Family, Subfamily and Tribe List

SubFamily Cerambycinae

Tribe Rhinotragini
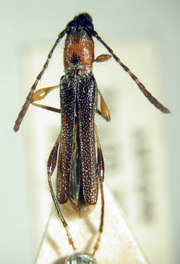
Eclipta notaticollis (Gounelle, 1911)

Ommata notaticollis Gounelle
Specimen Type: syntype
Sex: f
Institution: MNHN Museum of Natural History Paris, France
Collection Location: Jatai, Goias, Brazil
17751


Ommata notaticollis Gounelle
Specimen Type: syntype
Sex: f
Institution: MNHN Museum of Natural History Paris, France
Collection Location: Jatai, Goias, Brazil
11137


Sex: f
Institution: LGBC Larry G. Bezark Collection, Sacramento, California, USA
Photographer: Larry G. Bezark
Collection Location: Chacurru Ecotourism, Amambay, Paraguay
69681


Institution: LGBC Larry G. Bezark Collection, Sacramento, California, USA
Photographer: Larry G. Bezark
Collection Location: Chacurru Ecotourism, Amambay, Paraguay
18910

130425