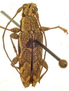
_Gressitt_BPBM_Gerrit_Withaar.jpg)
Specimen Type: holotype Sex: f Institution: BPBM Bernice P. Bishop Museum, Honolulu, Hawaii, USA Photographer: Gerrit Withaar Collection Location: Wau, Morobe Province, Papua New Guinea 65023
|

Specimen Type: paratype Institution: BPBM Bernice P. Bishop Museum, Honolulu, Hawaii, USA Photographer: Jim Cope Collection Location: Wau, Morobe Province, Papua New Guinea 65024
|

Institution: ZMA Zoölogisch Museum, Amsterdam Photographer: Gerrit Withaar Collection Location: Lae, Morobe Province, Papua New Guinea 65025
|

Institution: LGBC Larry G. Bezark Collection, Sacramento, California, USA Photographer: Larry G. Bezark Determiner: Andreas Weigel Collection Location: Ivimka Research Station, Papua New Guinea 65026
|
|