_Gahan_BMNH_Gerrit_Withaar.jpg)
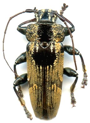
Specimen Type: syntype Institution: BMNH British Museum Natural History, London, UK Photographer: Gerrit Withaar Collection Location: Utakwa River, Irian Jaya 64789
|

Institution: ZMA Zoölogisch Museum, Amsterdam Photographer: Gerrit Withaar Collection Location: Salwati, Papua New Guinea 64790
|

Photographer: Len Hart, Cerambycoidea Forum Determiner: Andreas Weigel Collection Location: Timika, Papua New Guinea 65051
|
|