New Search Family, Subfamily and Tribe List

SubFamily Lamiinae

Tribe Tmesisternini
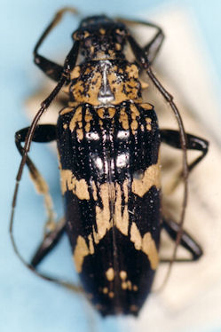
Pascoea dohrni (Fairmaire, 1883)

Institution: BPBM Bernice P. Bishop Museum, Honolulu, Hawaii, USA
Photographer: Jim Cope
56247

130425