New Search Family, Subfamily and Tribe List

SubFamily Lamiinae

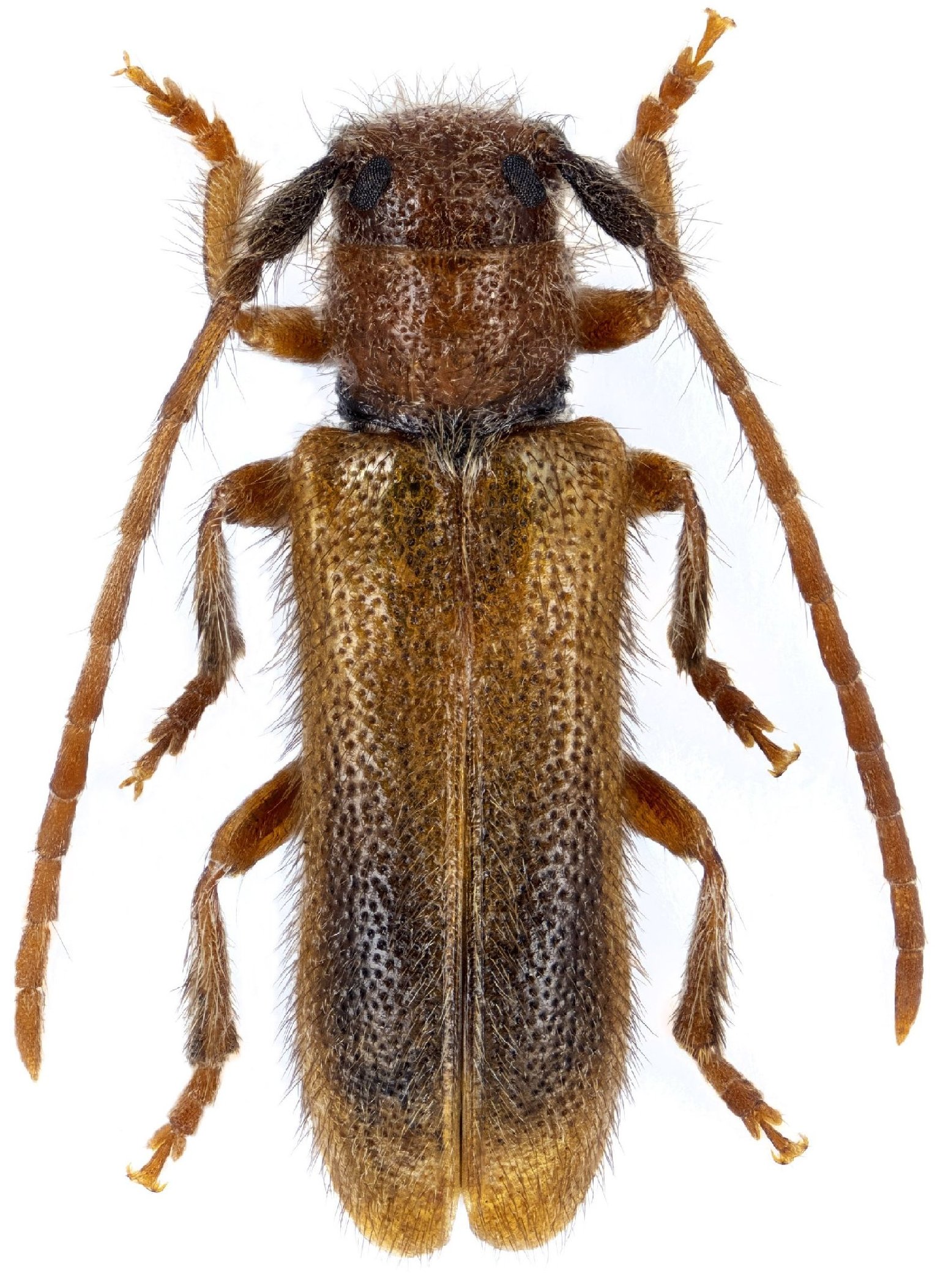
Tribe Tetropini
Tetrops formosus bivittulatus Jankowski 1934

Institution: LGBC Larry G. Bezark Collection, Sacramento, California, USA
Photographer: Larry G. Bezark
Collection Location: Almaty, Kazakhstan
49569


Photographer: Navratil & Hoskovec
Collection Location: vic Chebunsay, 15 km S Almaty, SE Kazakhstan
89198

130425