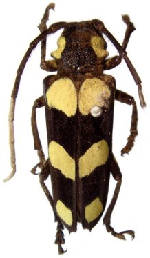
_Pu_Guangxi_Meiying.jpg)
Specimen Type: holotype Sex: f Institution: IZAS Zoological Institute, Chinese Academy of Sciences, Beijing, China Photographer: Meiying Lin Determiner: Annales de la Société Entomologique de France Collection Location: Longsheng County, Guangxi, China 43114
|
_Pu_Guangxi_Meiying.jpg)
Sex: fm Photographer: Meiying Lin Determiner: Annales de la Société Entomologique de France Collection Location: Longsheng County, Guangxi, China 43115
|