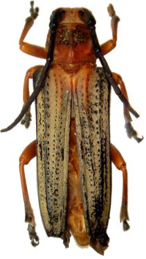
 Pic MNHN China now tricolor GC.jpg)
Stibara beloni Pic Specimen Type: holotype © MNHN Institution: MNHN Museum of Natural History Paris, France Photographer: Gerard Chemin Collection Location: China 77289
|
_Meiying.jpg)
Photographer: Meiying Lin 43084
|

Institution: LGBC Larry G. Bezark Collection, Sacramento, California, USA Photographer: Larry G. Bezark 62575
|
|