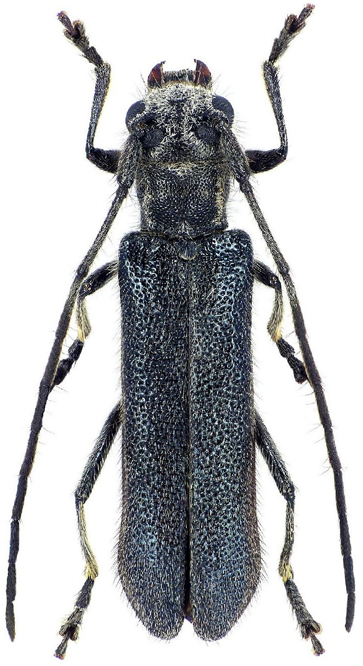
 Tynistko, Pardubice Region, E Bohemia, Czech Rep NH.jpg)
Sex: m Photographer: Navratil & Hoskovec Collection Location: Tynistko, Pardubice Region, E Bohemia, Czech Republic 89194
|
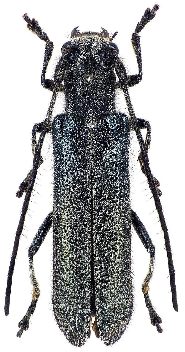
 Pouzdrany, Breclav District, S Moravia, Czech Rep Nav Hosko.jpg)
Sex: f Photographer: Navratil & Hoskovec Collection Location: Pouzdrany, Breclav District, S Moravia, Czech Republic 89195
|

Institution: LGBC Larry G. Bezark Collection, Sacramento, California, USA Photographer: Larry G. Bezark 62185
|
|