_Gal_Mart_MSZP_ES_Braz_now_Hosticus_SS.jpg)
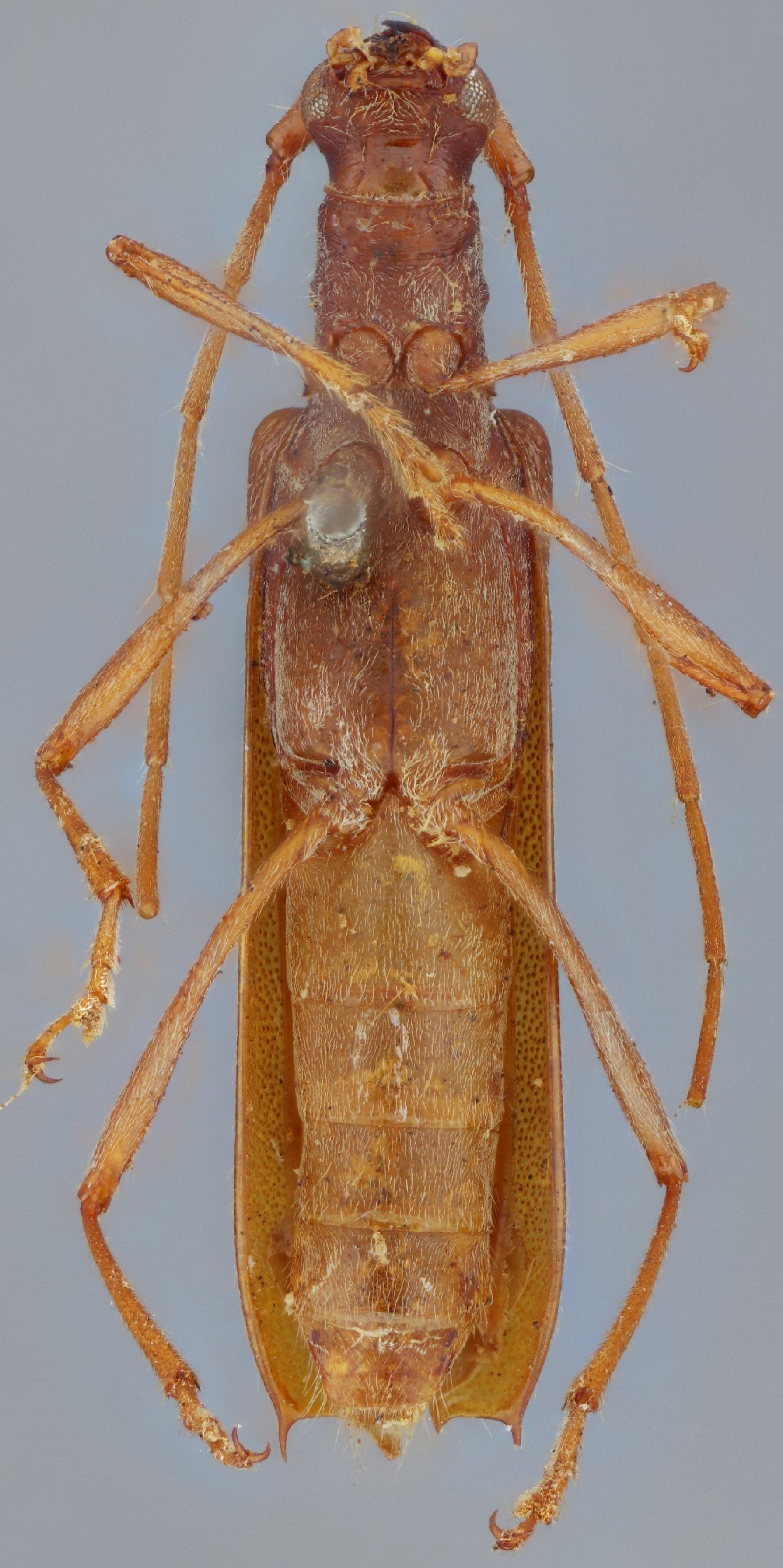
Alienus curiosus Galileo & Martins Specimen Type: holotype Sex: f Institution: MZSP Museu de Zoologia da Universidade de São Paulo, Brazil Photographer: Antonio Santos-Silva Collection Location: Espirito Santo, Brazil 72812
|
_Gal_Mart_MSZP_ES_Braz_now_Hosticus_SS.jpg)
Alienus curiosus Galileo & Martins Specimen Type: holotype Sex: f Institution: MZSP Museu de Zoologia da Universidade de São Paulo, Brazil Photographer: Antonio Santos-Silva Collection Location: Espirito Santo, Brazil 72813
|
_Gal_Mart_MSZP_ES_Braz_now_Hosticus_SS.jpg)
Alienus curiosus Galileo & Martins Specimen Type: holotype Sex: f Institution: MZSP Museu de Zoologia da Universidade de São Paulo, Brazil Photographer: Antonio Santos-Silva Collection Location: Espirito Santo, Brazil 72814
|
_Gal_Mart_MSZP_ES_Braz_now_Hosticus_SS.jpg)
Alienus curiosus Galileo & Martins Specimen Type: holotype Sex: f Institution: MZSP Museu de Zoologia da Universidade de São Paulo, Brazil Photographer: Antonio Santos-Silva Collection Location: Espirito Santo, Brazil 72815
|
|