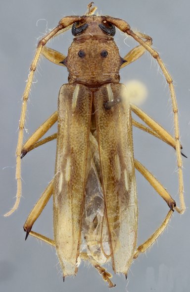
_Galileo_Martins_MZSP_Sao_Joao_Cariri_Pariba_Brazil_SS.jpg)
Specimen Type: holotype Sex: f Institution: MZSP Museu de Zoologia da Universidade de São Paulo, Brazil Photographer: Antonio Santos-Silva Collection Location: São João do Cariri, Paraiba, Brazil 63445
|
_G_and_M_MZSP_Sao_Joao_do_Cariri_Paraiba_Brazil.jpg)
Specimen Type: holotype Sex: f Institution: MZSP Museu de Zoologia da Universidade de São Paulo, Brazil Collection Location: São João do Cariri, Paraiba, Brazil 29553
|