New Search Family, Subfamily and Tribe List

SubFamily Prioninae

Tribe Macrotomini
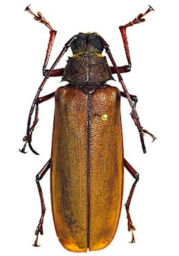
Tagalog lumawigi Hudepohl 1987

Sex: m
Photographer: Estan Cabigas
Collection Location: Mindanao, Philippines
63370


Sex: f
Photographer: Estan Cabigas
Collection Location: Mindanao, Philippines
63371

130425