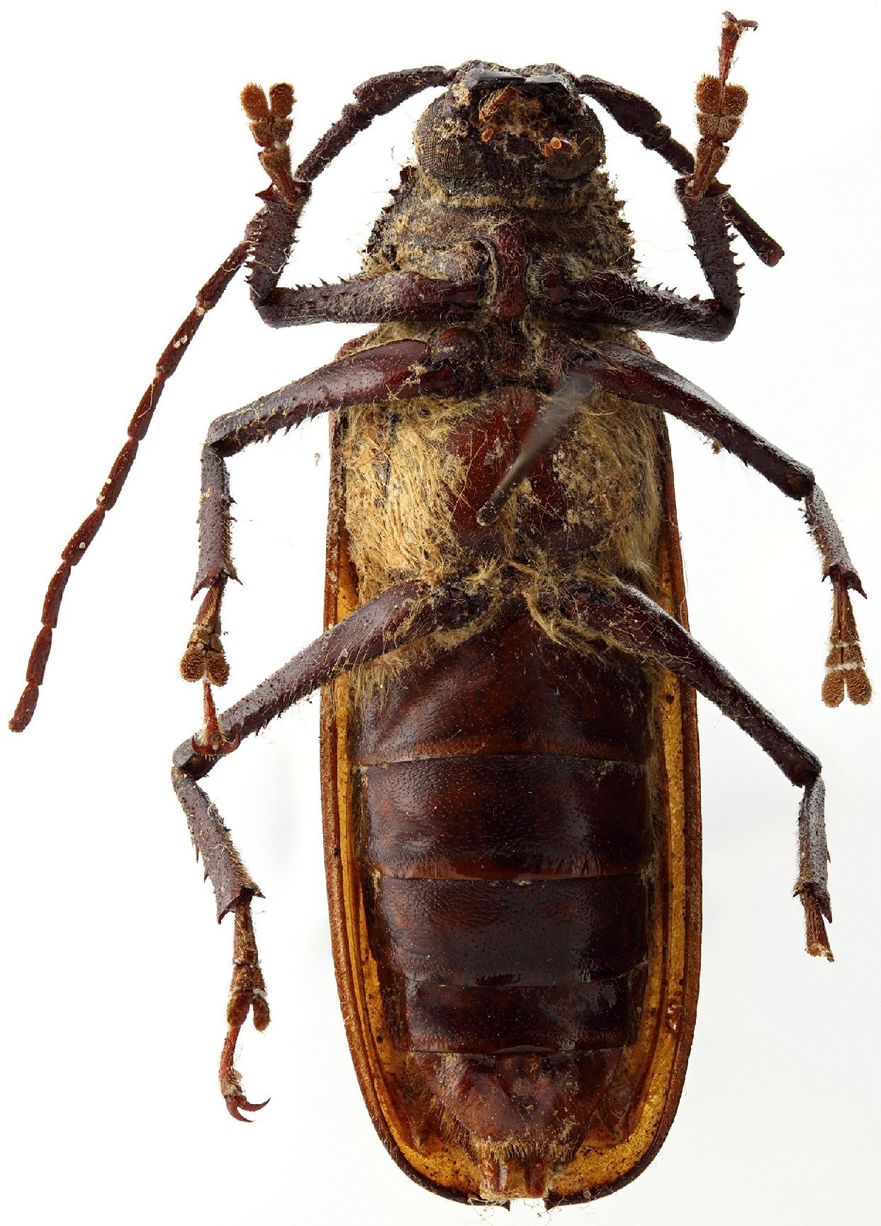
_Gilmour_IRSNB_Madagascar_J_Pirkl_pic_Phlyct_laeta5.jpg)
Hovatoma collarti Gilmour Specimen Type: holotype Sex: m Institution: RBINS Royal Belgian Institute of Natural Sciences, Brussels, Belgium Photographer: J Pirkl Collection Location: Madagascar 65530
|
_Gilmour_IRSNB_Madagascar_J_Pirkl_pic_Phlyct_laeta5.jpg)
Hovatoma collarti Gilmour Specimen Type: holotype Sex: m Institution: RBINS Royal Belgian Institute of Natural Sciences, Brussels, Belgium Photographer: J Pirkl Collection Location: Madagascar 65531
|
_Gilmour_IRSNB_Madagascar_J_Pirkl_pic_Phlyct_laeta5.jpg)
Hovatoma collarti Gilmour Specimen Type: holotype Sex: m Institution: RBINS Royal Belgian Institute of Natural Sciences, Brussels, Belgium Photographer: J Pirkl Collection Location: Madagascar 65532
|
_Gilmour_IRSNB_Madagascar_J_Pirkl_pic_Phlyct_laeta5.jpg)
Hovatoma collarti Gilmour Specimen Type: holotype Sex: m Institution: RBINS Royal Belgian Institute of Natural Sciences, Brussels, Belgium Photographer: J Pirkl Collection Location: Madagascar 65533
|
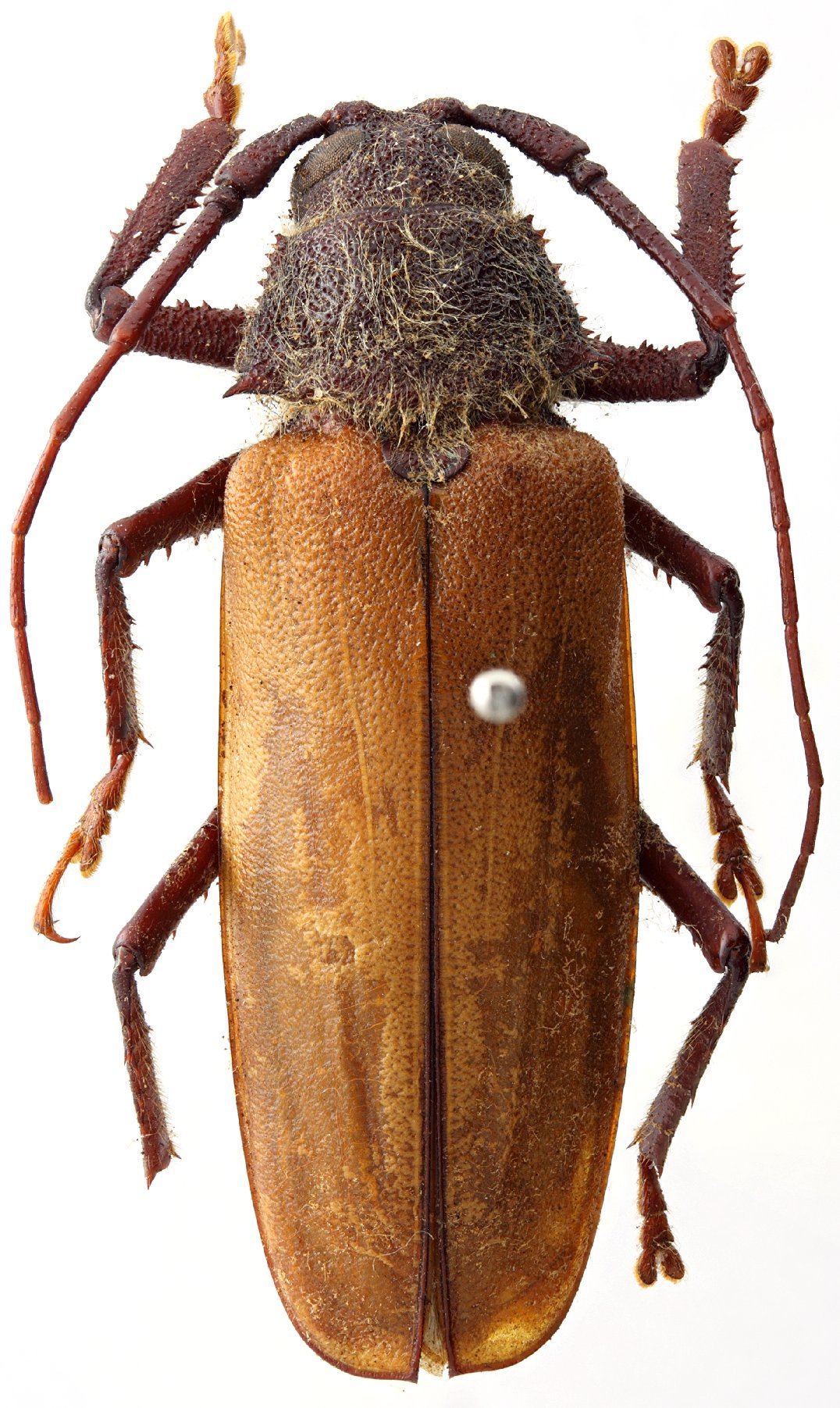
_Gilmour_IRSNB_J_Pirkl_pic_Phlyct_laeta5.jpg)
Hovatoma collarti Gilmour Specimen Type: allotype Sex: f Institution: RBINS Royal Belgian Institute of Natural Sciences, Brussels, Belgium Photographer: J Pirkl Collection Location: Madagascar 65534
|
_Gilmour_IRSNB_J_Pirkl_pic_Phlyct_laeta5.jpg)
Hovatoma collarti Gilmour Specimen Type: allotype Sex: f Institution: RBINS Royal Belgian Institute of Natural Sciences, Brussels, Belgium Photographer: J Pirkl Collection Location: Madagascar 65535
|
_Gilmour_IRSNB_J_Pirkl_pic_Phlyct_laeta5.jpg)
Hovatoma collarti Gilmour Specimen Type: allotype Sex: f Institution: RBINS Royal Belgian Institute of Natural Sciences, Brussels, Belgium Photographer: J Pirkl Collection Location: Madagascar 65536
|
_Gilmour_IRSNB_J_Pirkl_pic_Phlyct_laeta5.jpg)
Hovatoma collarti Gilmour Specimen Type: allotype Sex: f Institution: RBINS Royal Belgian Institute of Natural Sciences, Brussels, Belgium Photographer: J Pirkl Collection Location: Madagascar 65537
|