_Breuning_BPBM_Nobuo_Ohbay.jpg)
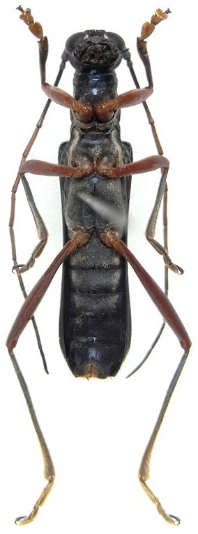
Specimen Type: holotype Sex: m Institution: BPBM Bernice P. Bishop Museum, Honolulu, Hawaii, USA Photographer: Nobuo Ohbayashi Collection Location: région de Paksane, Laos 45383
|
 Breuning Tad Xai, Borikhamxay Province, Laos XG.jpg)
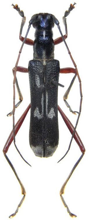
Sex: m Institution: Gouverneur Collection Photographer: Xavier Gouverneur Collection Location: Tad Xai, Borikhamxay Province, Laos 89545
|