New Search Family, Subfamily and Tribe List

SubFamily Lamiinae

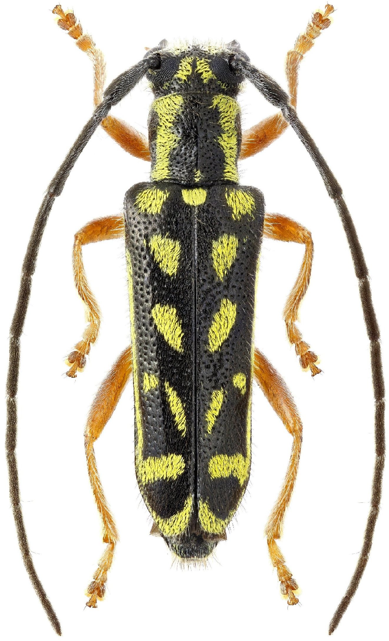
Tribe Saperdini
Paramenesia theaphia (Bates, 1884)

Photographer: O. E. Berlov
Collection Location: Kotokubokujo, Gunma Prefecture, Japan
55924


Sex: m
Photographer: Kirill V. Makarov
Collection Location: Valentina Creek Valley, Kuril Islands, Sakhalin Region, Russia
55925

130425