 Fisher NMNH Samar, Philippines now Menesia transv SWL.jpg)
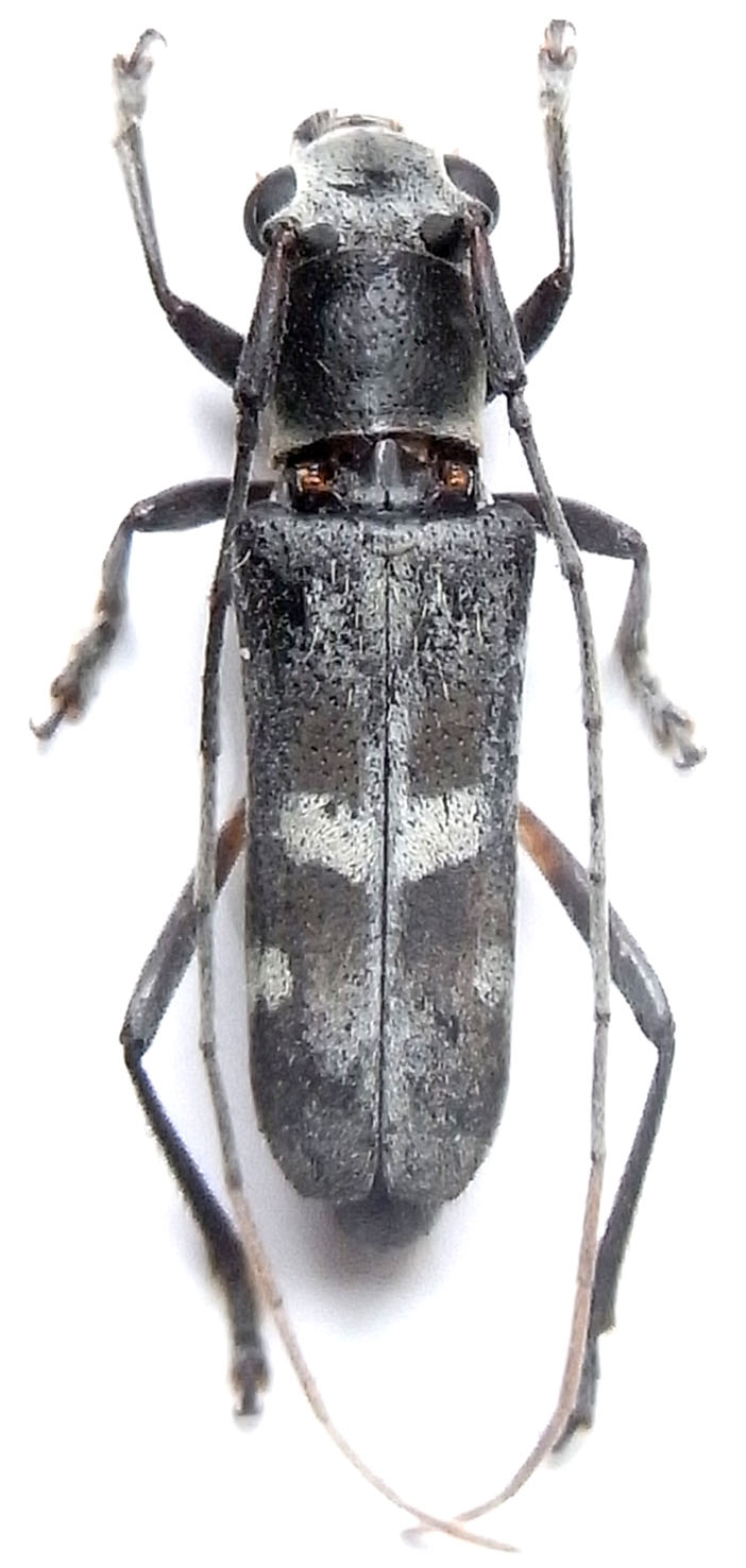
Daphisia leopoldi Fisher Specimen Type: holotype Sex: m Institution: NMNH United States National Museum, Washington, DC, USA Photographer: Steve Lingafelter Collection Location: Samar, Philippines 81500
|

Photographer: Xavier Gouverneur, Cerambycoidea Forum Collection Location: Philippines 81512
|