
Photographer: Maxim E. Smirnov Collection Location: Pureshka Village, Pestyakovsky District, Ivanovo Region, Russia 81501
|
_Poland_Tomaszow_Maz_det_Kurzawa_Kurzawa.jpg)
Photographer: Jacek Kurzawa Determiner: Jacek Kurzawa Collection Location: Tomaszow, Maz, Poland 52346
|

Photographer: Piezo Collection Location: France 52347
|
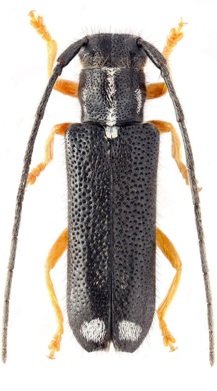
_CAS.jpg)
Institution: CAS California Academy of Sciences, San Francisco, CA, USA Photographer: Larry G. Bezark 52344
|

Institution: LGBC Larry G. Bezark Collection, Sacramento, California, USA Photographer: Larry G. Bezark Collection Location: Lichtenstein, Germany 52345
|
|