New Search Family, Subfamily and Tribe List

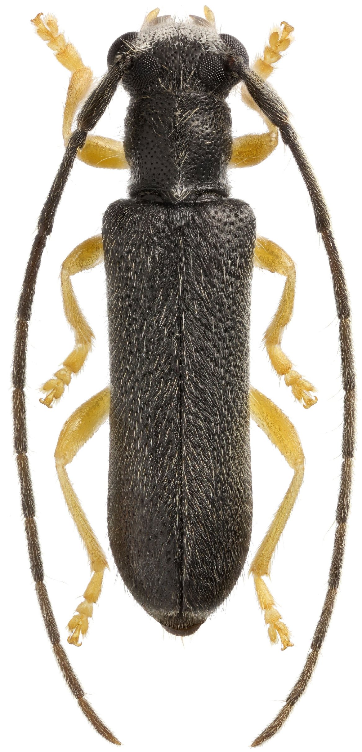
SubFamily Lamiinae

Tribe Saperdini
Menesia albifrons Heyden 1886

Sex: m
Photographer: Kirill V. Makarov
Collection Location: Listvennichnaya River, Primorsky krai, East Fed Dist, Russia
81389

130425