 Tianmu Mtns, Zhegiang Prov, China JCPC LGB det AW.jpg)
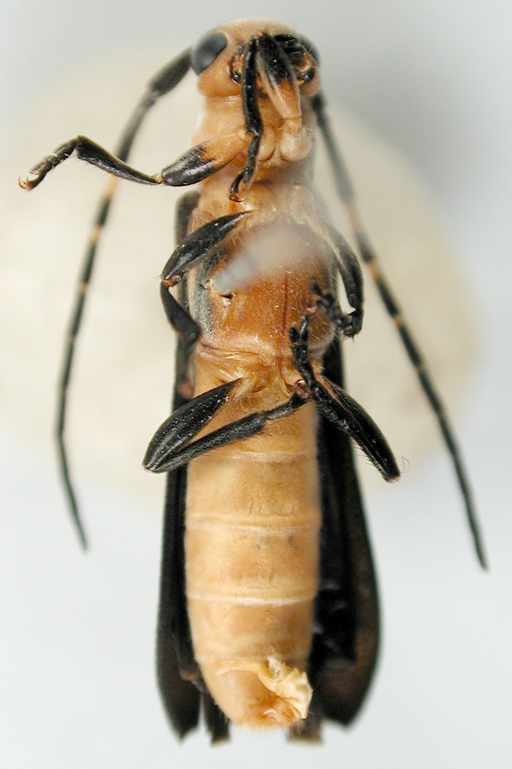
Institution: JCPC Jim Cope Collection, San Jose, California, USA now at CSCA, Sacramento Photographer: Larry G. Bezark Determiner: Andreas Weigel, Cerambycoidea Forum Collection Location: Tianmu Mtns, Zhegiang Prov, China 97316
|
 Tianmu Mtns, Zhegiang Prov, China JCPC LGB det AW.jpg)
Institution: JCPC Jim Cope Collection, San Jose, California, USA now at CSCA, Sacramento Photographer: Larry G. Bezark Determiner: Andreas Weigel, Cerambycoidea Forum Collection Location: Tianmu Mtns, Zhegiang Prov, China 97317
|
 Tianmu Mtns, Zhegiang Prov, China JCPC LGB det AW.jpg)
Institution: JCPC Jim Cope Collection, San Jose, California, USA now at CSCA, Sacramento Photographer: Larry G. Bezark Determiner: Andreas Weigel, Cerambycoidea Forum Collection Location: Tianmu Mtns, Zhegiang Prov, China 97318
|
 Tianmu Mtns, Zhegiang Prov, China JCPC LGB det AW.jpg)
Institution: JCPC Jim Cope Collection, San Jose, California, USA now at CSCA, Sacramento Photographer: Larry G. Bezark Determiner: Andreas Weigel, Cerambycoidea Forum Collection Location: Tianmu Mtns, Zhegiang Prov, China 97319
|
_Det_Gressitt_CAS.jpg)
Photographer: Larry G. Bezark Determiner: Gressitt 51852
|

Photographer: Olivier Gregory, Cerambycoidea Forum Collection Location: Zhejiang Tian, China 51853
|
|