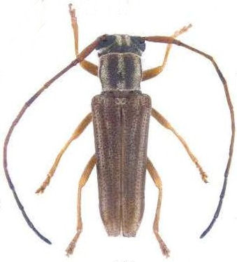
_Pasc_BMNH_Matabello_Moluccas_Indonesia_Lin_now_Heterog.jpg)
Glenea glechoma Pascoe Specimen Type: holotype Sex: m Institution: BMNH British Museum Natural History, London, UK Photographer: Meiying Lin Collection Location: Matabello, Moluccas, Indonesia 48747
|
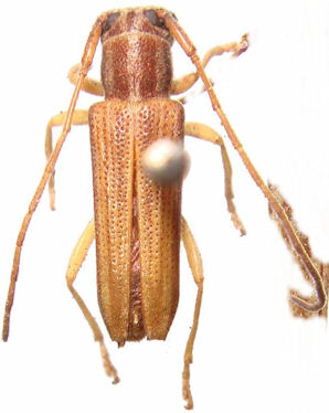
_Fairm_MNHN_New_Britain_Lin_now_Heterog_glechoma.jpg)
Glenea fuscovirgata Fairmaire Specimen Type: holotype Sex: f Institution: MNHN Museum of Natural History Paris, France Photographer: Meiying Lin Collection Location: New Britain 48742
|
_Br_BMNH_Guadalcanal_Isl_Solomon_Isl_Lin_now_Heterog_glechoma.jpg)
Glenea guadalcanalana Breuning Specimen Type: holotype Sex: m Institution: BMNH British Museum Natural History, London, UK Photographer: Meiying Lin Collection Location: Guadalcanal Island, Solomon Islands 48763
|
_Hayashi_OMNH_Ishigaki_Isl_Yoshihara-Yonehara_Japan_ now_Heterog_glechoma.jpg)
Glenea hamabovola Hayashi Specimen Type: holotype Sex: m Institution: OMNH Osaka Museum of Natural History, Japan Photographer: Meiying Lin Collection Location: Ishigaki Island, Yoshihara-Yonehara, Japan 48764
|
_Br_NHMB_Binaluan_N_Palawan_Philippines_Lin_now_Heterog_glechoma.jpg)
Glenea palawana Breuning Specimen Type: holotype Sex: m Institution: NHMB Naturhistorisches Museum, Basel, Switzerland Photographer: Meiying Lin Collection Location: Binaluan, Northern Palawan, Philippines 49827
|

Photographer: Meiying Lin 42801
|

Photographer: Eduard Vives Collection Location: Solomon Islands 48758
|
|