_Lin_and_Yang_CHS_Laos_Phongsaly_Prov_Phongsaly.jpg)
Specimen Type: holotype Sex: m Institution: Holzschuh Collection Photographer: Meiying Lin Collection Location: Phongsaly, Phongsaly Province, Laos 42805
|
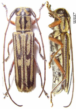
_Lin_and_Yang_CCH_Holzschuh_Phongsaly_Laos.jpg)
Specimen Type: paratype Sex: f Photographer: Meiying Lin Collection Location: Phongsaly, Phongsaly Province, Laos 42806
|