New Search Family, Subfamily and Tribe List

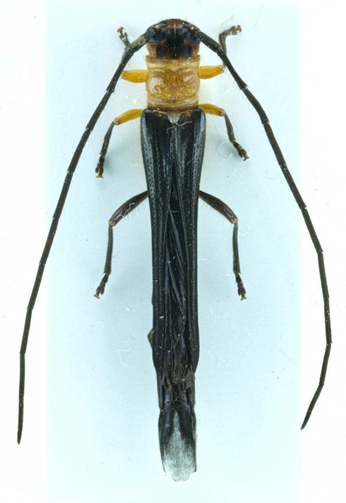
SubFamily Lamiinae

Tribe Saperdini
Gracilinitocris gracilenta Kolbe 1894

Specimen Type: probably this taxon
Photographer: Laurent Peru, Cerambycoidea Forum
Determiner: Jerome Sudre, Cerambycoidea Forum
Collection Location: Danyi, Dzogbegan, Togo
64076


Sex: f
Photographer: Eric Jiroux
75282

130425