_Pascoe_BMNH_Angola_Peter_Wing.jpg)
Specimen Type: holotype Institution: BMNH British Museum Natural History, London, UK Photographer: Peter Wing Collection Location: Angola 70173
|
_Pascoe_BMNH_Angola_Peter_Wing.jpg)
Specimen Type: holotype Institution: BMNH British Museum Natural History, London, UK Photographer: Peter Wing Collection Location: Angola 70174
|
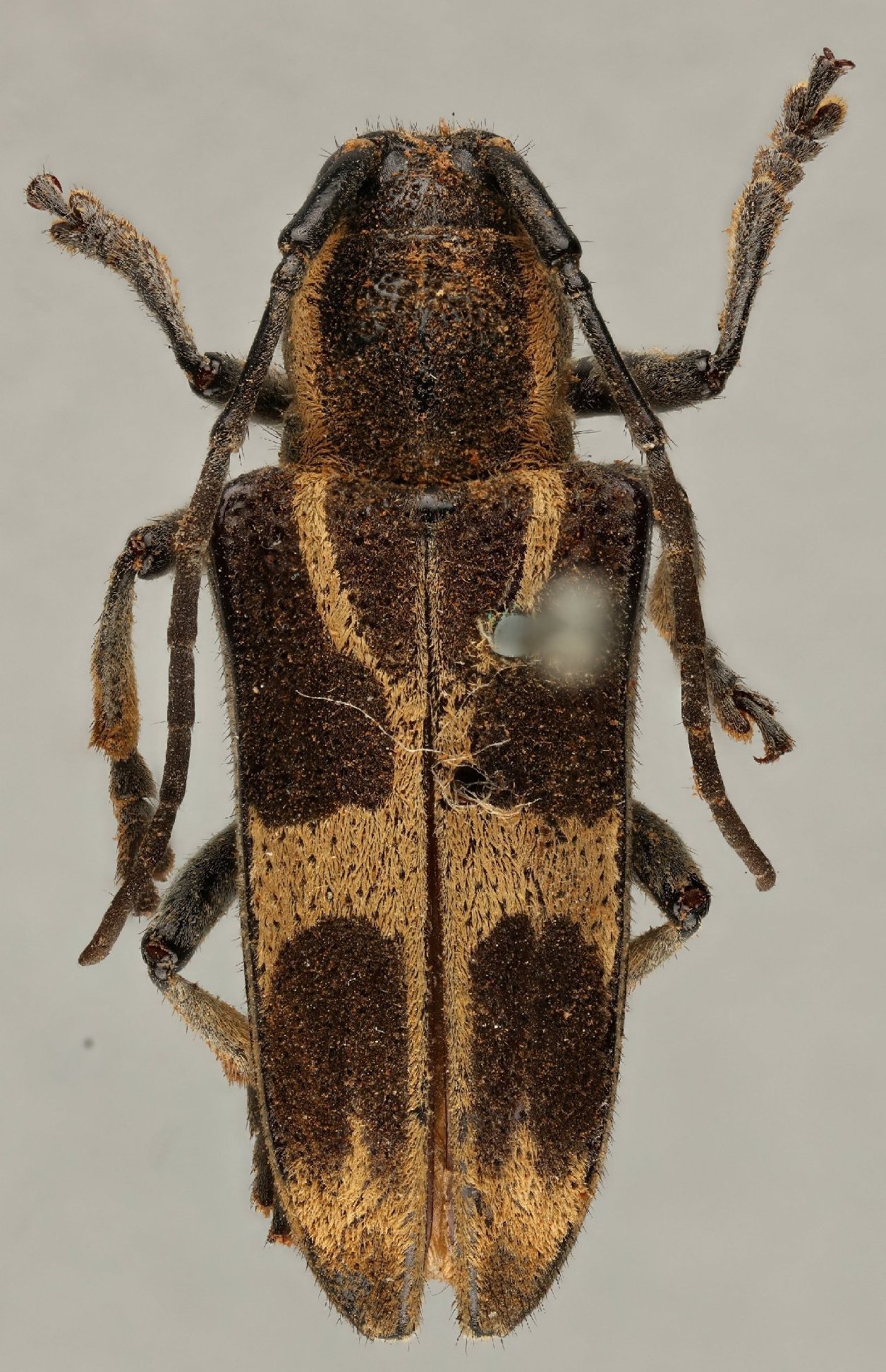
_Pascoe_BMNH_Angola_Peter_Wing.jpg)
Specimen Type: holotype Institution: BMNH British Museum Natural History, London, UK Photographer: Peter Wing Collection Location: Angola 70175
|
 morosa Pascoe.jpg)
Institution: MNHN Museum of Natural History Paris, France Photographer: Andreas Weigel 67673
|

Institution: BMNH British Museum Natural History, London, UK Photographer: Larry G. Bezark Collection Location: Kivu District, DR Congo 47843
|

Institution: BMNH British Museum Natural History, London, UK Photographer: Larry G. Bezark Collection Location: Kivu District, DR Congo 47844
|
|