New Search Family, Subfamily and Tribe List

SubFamily Lamiinae

Tribe Saperdini
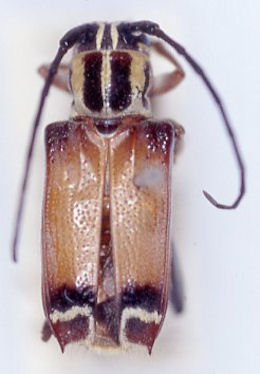
Glenea grossepunctata grossepunctata Breuning 1958

Photographer: Jim Cope
Collection Location: Flores Island, Lesser Sunda Islands
48762

130425