New Search Family, Subfamily and Tribe List

SubFamily Lamiinae

Tribe Saperdini
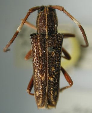
Glenea rufopunctata Gahan 1907

Specimen Type: syntype
Sex: f
Institution: BMNH British Museum Natural History, London, UK
Photographer: Larry G. Bezark
Collection Location: Si Rambe, Sumatra
47942


Photographer: Jim Cope
Collection Location: Sumatra
49911

130425