_Aurivillius_BMNH_Entebbe_Uganda_now_jordani_LGB.jpg)
Glenea vittata orientalis Aurivillius Specimen Type: holotype Institution: BMNH British Museum Natural History, London, UK Photographer: Larry G. Bezark Collection Location: Entebbe, Uganda 48035
|
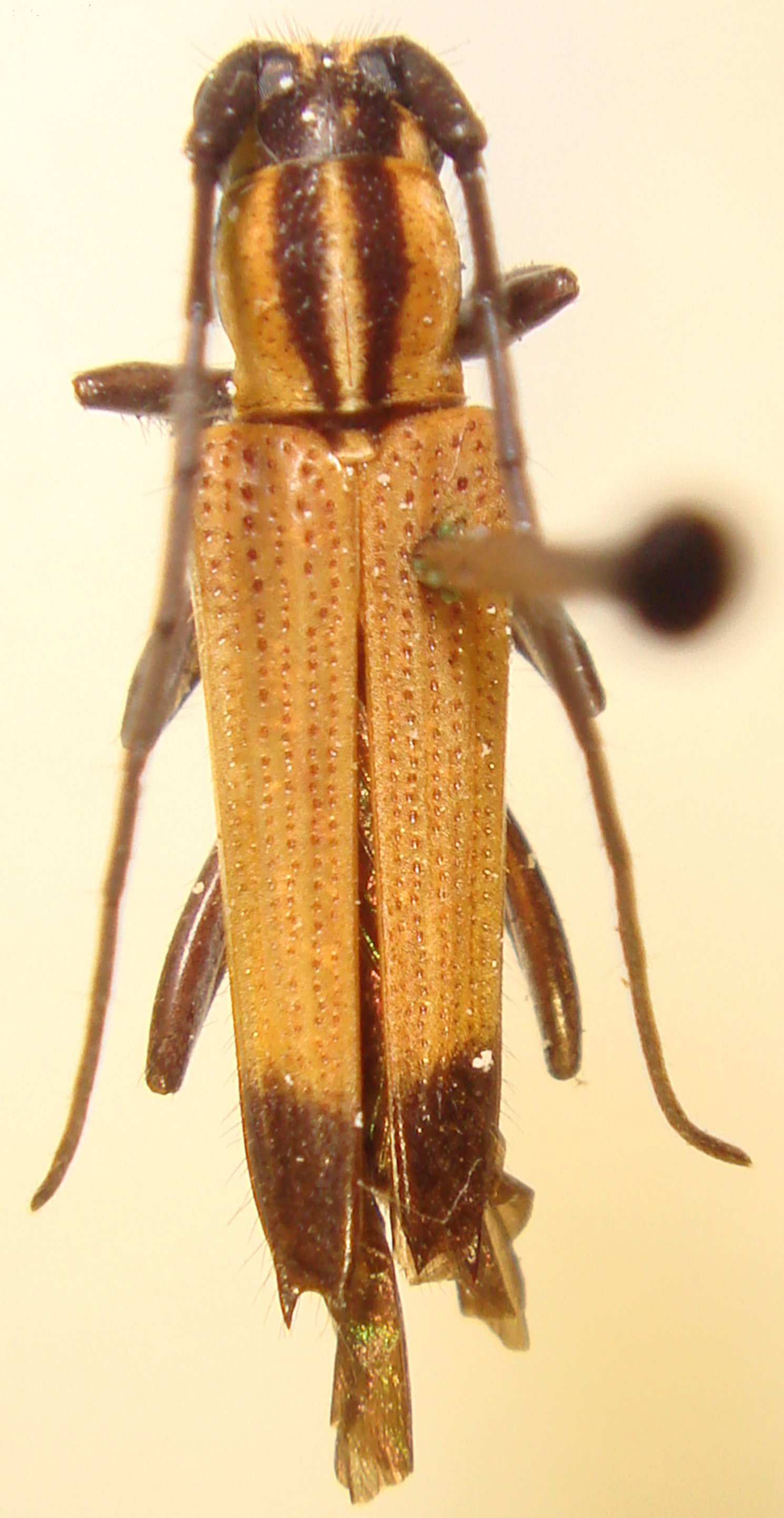
 jordani m. interruptevittata Br_Ht.jpg)
Glenea jordani m. interruptevittata Breuning Specimen Type: holotype Sex: m Institution: IRSNB Royal Belgian Institute of Natural Sciences, Brussels, Belgium Photographer: Meiying Lin Collection Location: Eala, RD Congo 67211
|