_Chev_BMNH_Cuba_LGB.jpg)
Specimen Type: holotype Sex: m Institution: BMNH British Museum Natural History, London, UK Photographer: Larry G. Bezark Collection Location: Cuba 46701
|
_Chev_BMNH_Cuba_LGB.jpg)
Specimen Type: holotype Sex: m Institution: BMNH British Museum Natural History, London, UK Photographer: Larry G. Bezark Collection Location: Cuba 46702
|
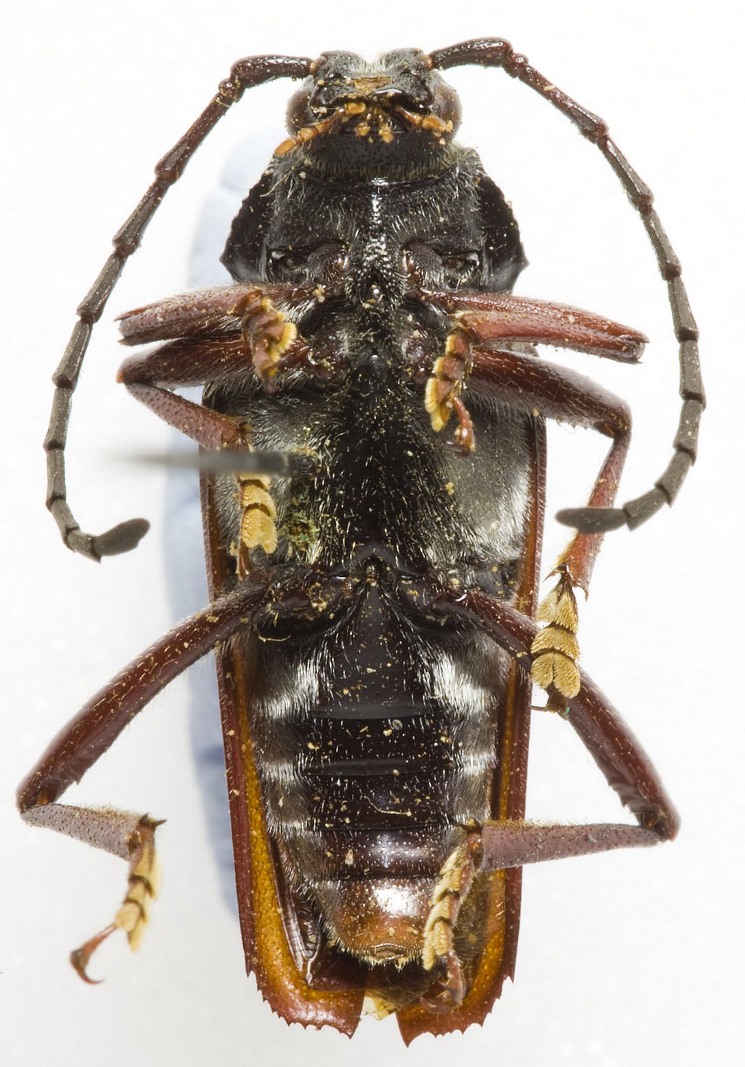
_Chev_BMNH_Cuba_LGB.jpg)
Specimen Type: holotype Sex: m Institution: BMNH British Museum Natural History, London, UK Photographer: Larry G. Bezark Collection Location: Cuba 16354
|
_BMNH_Derek_Croucher.jpg)
Specimen Type: holotype Sex: m Institution: BMNH British Museum Natural History, London, UK Photographer: Derek Croucher Collection Location: Cuba 65273
|
_BMNH_Derek_Croucher.jpg)
Specimen Type: holotype Sex: m Institution: BMNH British Museum Natural History, London, UK Photographer: Derek Croucher Collection Location: Cuba 65274
|
_BMNH_Derek_Croucher.jpg)
Specimen Type: holotype Sex: m Institution: BMNH British Museum Natural History, London, UK Photographer: Derek Croucher Collection Location: Cuba 65275
|
_Salle_SWL.jpg)
Sex: m Photographer: Steve Lingafelter 49150
|