
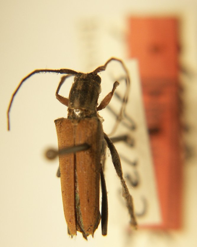
Glenea plurivitticollis Breuning Specimen Type: holotype Sex: m Institution: NHMB Naturhistorisches Museum, Basel, Switzerland Photographer: Andreas Weigel Collection Location: Sulawesi 67806
|
.jpg)
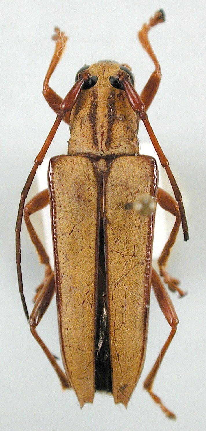
Glenea plurivitticollis Breuning Specimen Type: holotype Sex: m Institution: NHMB Naturhistorisches Museum, Basel, Switzerland Photographer: Andreas Weigel Collection Location: Sulawesi 67807
|
_Pascoe_BMNH_Menado_Sulawesi_LGB.jpg)
Specimen Type: syntype Institution: BMNH British Museum Natural History, London, UK Photographer: Larry G. Bezark Collection Location: Menado, Sulawesi 48009
|
_Pascoe_BMNH_Menado_Sulawesi_LGB.jpg)
Specimen Type: syntype Institution: BMNH British Museum Natural History, London, UK Photographer: Larry G. Bezark Collection Location: Menado, Sulawesi 48010
|

Institution: LGBC Larry G. Bezark Collection, Sacramento, California, USA Photographer: Larry G. Bezark Determiner: Francesco Vitali, Cerambycoidea Forum Collection Location: Makki, Sulawesi 99828
|

Institution: LGBC Larry G. Bezark Collection, Sacramento, California, USA Photographer: Larry G. Bezark Determiner: Francesco Vitali, Cerambycoidea Forum Collection Location: Mt Agropura E Java 99829
|

Photographer: Philippe Jacquot, Cerambycoidea Forum Collection Location: Sulawesi 50061
|
|