New Search Family, Subfamily and Tribe List

SubFamily Lamiinae

Tribe Saperdini
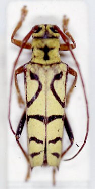
Glenea sulphurea Thomson 1865

Institution: BMNH British Museum Natural History, London, UK
Photographer: Larry G. Bezark
47994


Institution: BMNH British Museum Natural History, London, UK
Photographer: Dan Heffern
Collection Location: Peninsular Thailand
49954


Photographer: Jim Cope
Collection Location: Myanmar
49955


Photographer: Dan Heffern
Collection Location: Sabah, Borneo
49956

130425