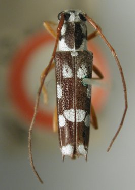
_Gahan_BMNH_Bengkulu_Sunda_Is_Indonesia_LGB.jpg)
Specimen Type: syntype Institution: BMNH British Museum Natural History, London, UK Photographer: Larry G. Bezark Collection Location: Bengkulu, Sunda Islands, Indonesia 47973
|
_Gahan_BMNH_Bengkulu_Sunda_Is_Indonesia_LGB.jpg)
Specimen Type: syntype Institution: BMNH British Museum Natural History, London, UK Photographer: Larry G. Bezark Collection Location: Bengkulu, Sunda Islands, Indonesia 47974
|

Specimen Type: syntype Institution: MCSN Museo Civico di Storia Naturale, Genova, Italy Photographer: Meiying Lin Collection Location: Bengkulu (Isola Enggano), Sunda Islands, Indonesia 67620
|
|