New Search Family, Subfamily and Tribe List

SubFamily Lamiinae

Tribe Saperdini
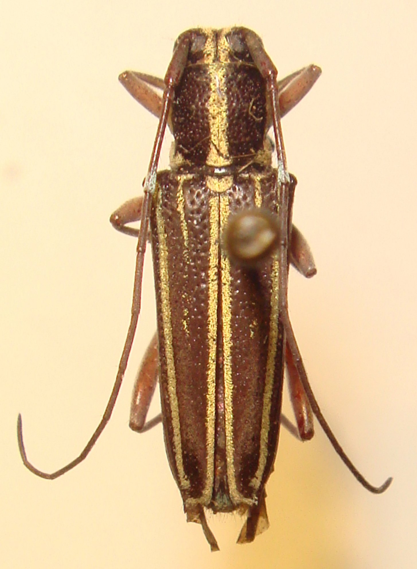
Glenea sangirensis Breuning 1958

Specimen Type: holotype
Sex: f
Institution: NHMB Naturhistorisches Museum, Basel, Switzerland
Photographer: Meiying Lin
Collection Location: Sanghir Islands, Sulawesi
67601

130425