_Aurivillius_NMNH_Samar_Phil_Nearns.jpg)
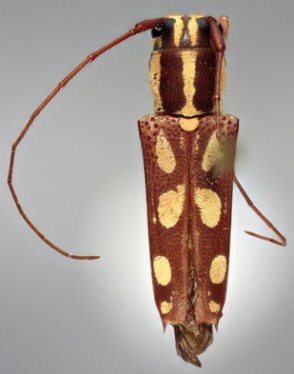
Specimen Type: holotype Sex: f Institution: NMNH United States National Museum, Washington, DC, USA Photographer: Gino Nearns Collection Location: Samar, Philippines 49915
|

Specimen Type: holotype Sex: f Institution: NMNH United States National Museum, Washington, DC, USA Photographer: Jim Cope Collection Location: Samar, Philippines 49916
|