_Br_CNC_30kmN_Quiculungo_Angola_Lap.jpg)
Specimen Type: holotype Institution: CNC Canadian National Collection of Insects, Ottawa, Ontario, Canada Photographer: Serge Laplante, photograph & data Determiner: Copyright of
Agriculture & Agri Food Canada Collection Location: 30 km N Quiculungo, Angola 63179
|
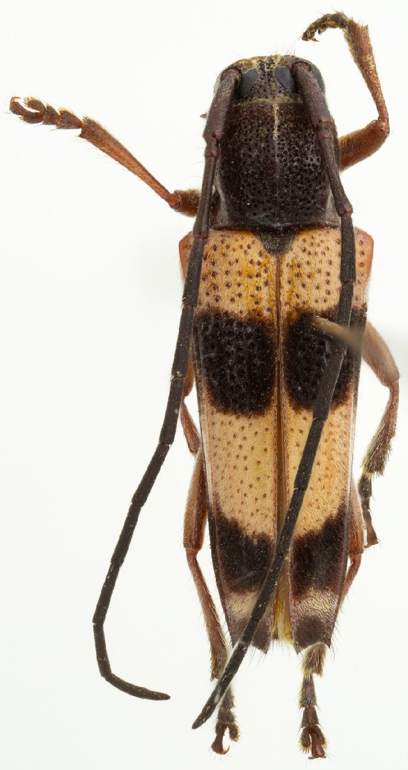
_Br_CNC_30kmN_Quiculungo_Angola_Lap.jpg)
Specimen Type: holotype Institution: CNC Canadian National Collection of Insects, Ottawa, Ontario, Canada Photographer: Serge Laplante, Photograph & data Determiner: Copyright of
Agriculture & Agri Food Canada Collection Location: 30 km N Quiculungo, Angola 63180
|
_Br_CNC_30kmN_Quiculungo_Angola_Lap.jpg)
Specimen Type: holotype Institution: CNC Canadian National Collection of Insects, Ottawa, Ontario, Canada Photographer: Serge Laplante, Photograph & data Determiner: Copyright of
Agriculture & Agri Food Canada Collection Location: 30 km N Quiculungo, Angola 63181
|
|