
Specimen Type: holotype Sex: m Institution: MNHN Museum of Natural History Paris, France Photographer: Meiying Lin Collection Location: Soekarada, Sumatra 67587
|

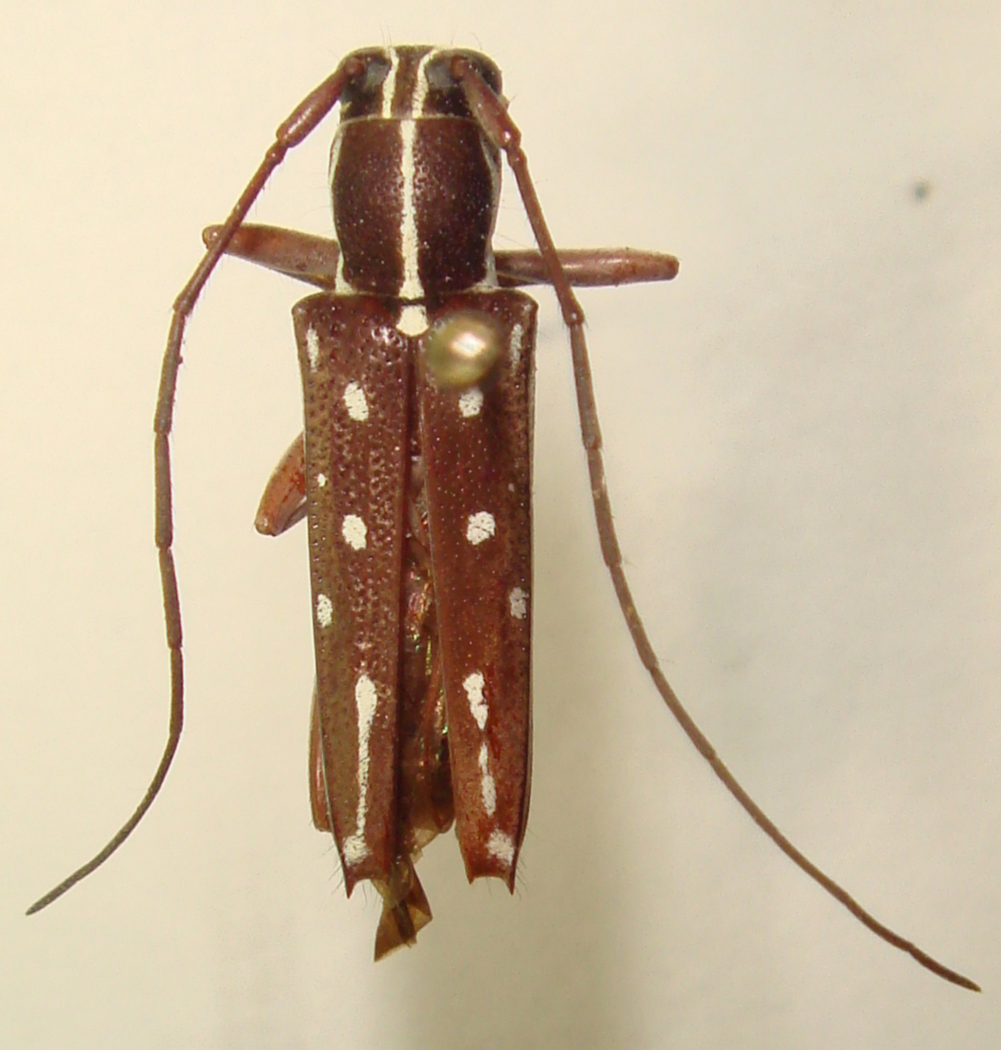
Specimen Type: paratype Institution: MNHN Museum of Natural History Paris, France Photographer: Meiying Lin Collection Location: Soekarada, Sumatra 67588
|