New Search Family, Subfamily and Tribe List

SubFamily Lamiinae

Tribe Saperdini
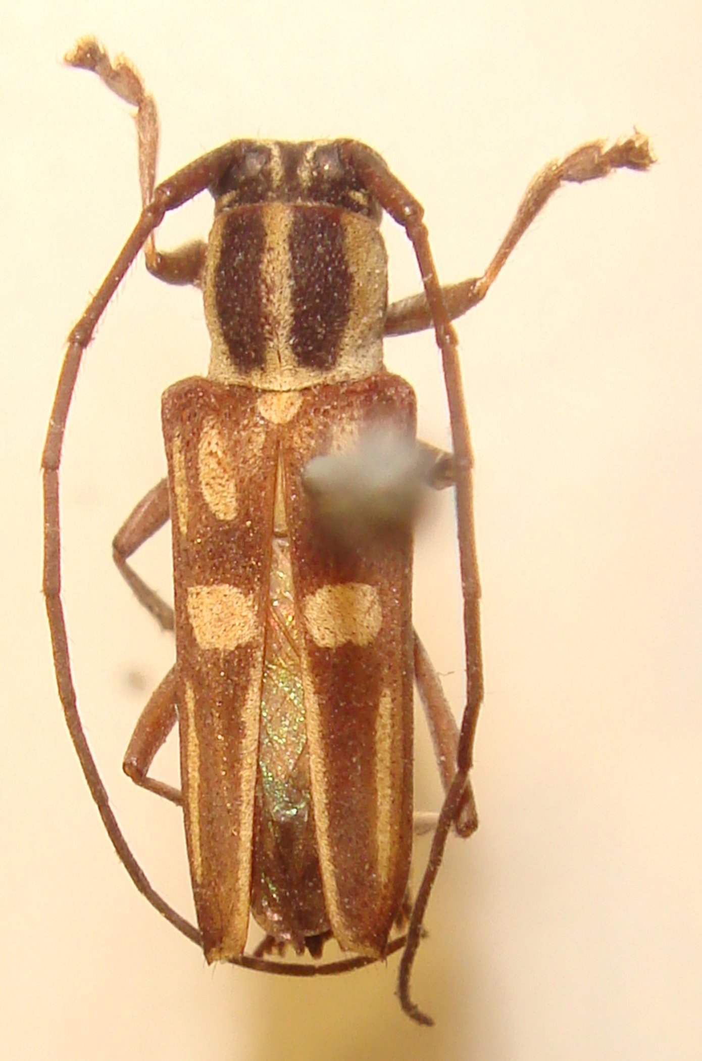
Glenea pseudoperia Breuning 1956

Specimen Type: holotype
Sex: m
Institution: NHMB Naturhistorisches Museum, Basel, Switzerland
Photographer: Meiying Lin
Collection Location: Aru Island, Molucca Islands, Indonesia
67580

130425