New Search Family, Subfamily and Tribe List

SubFamily Lamiinae

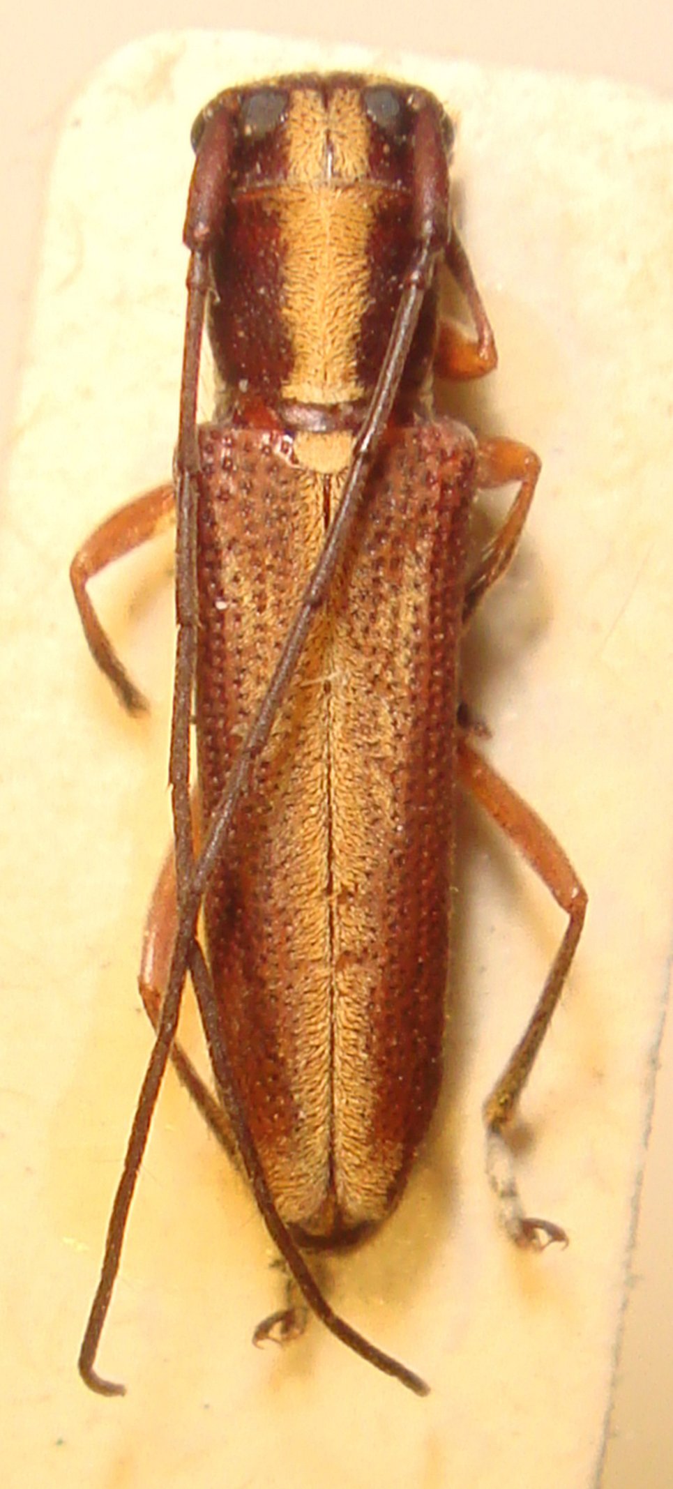
Tribe Saperdini
Glenea pseudeclectica Breuning 1956

Specimen Type: holotype
Institution: NHMB Naturhistorisches Museum, Basel, Switzerland
Photographer: Meiying Lin
Collection Location: Idjen Plateau, Java, Indonesia
67573

130425