
Specimen Type: holotype Sex: m Institution: MCSN Museo Civico di Storia Naturale, Genova, Italy Photographer: Meiying Lin Collection Location: Pulo-Penang, Malacca Peninsula, Indonesia 67564
|

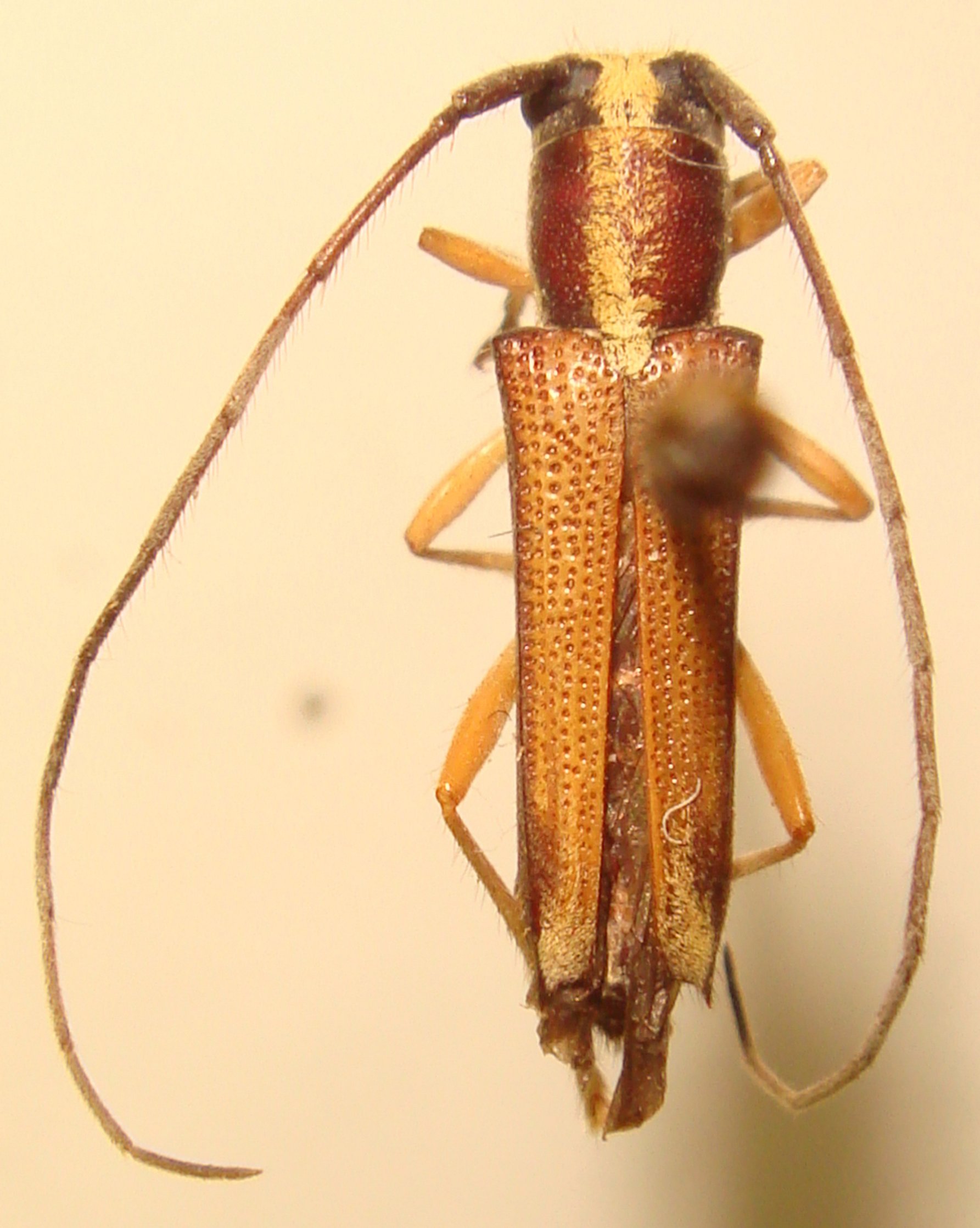
Specimen Type: holotype Sex: m Institution: MCSN Museo Civico di Storia Naturale, Genova, Italy Photographer: Meiying Lin Collection Location: Pulo-Penang, Malacca Peninsula, Indonesia 67565
|

Specimen Type: holotype Sex: m Institution: MCSN Museo Civico di Storia Naturale, Genova, Italy Photographer: Meiying Lin Collection Location: Pulo-Penang, Malacca Peninsula, Indonesia 67566
|
|