New Search
Family, Subfamily and Tribe List
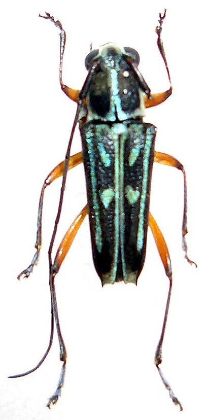
SubFamily
Lamiinae
Tribe
Saperdini
Glenea parasuavis
Breuning 1982
Photographer:
Sergei Troccoli, Cerambycoidea Forum
Determiner:
Xavier Gouverneur, Cerambycoidea Forum
Collection Location:
Guadalcanal, Solomon Islands
79833
130425