
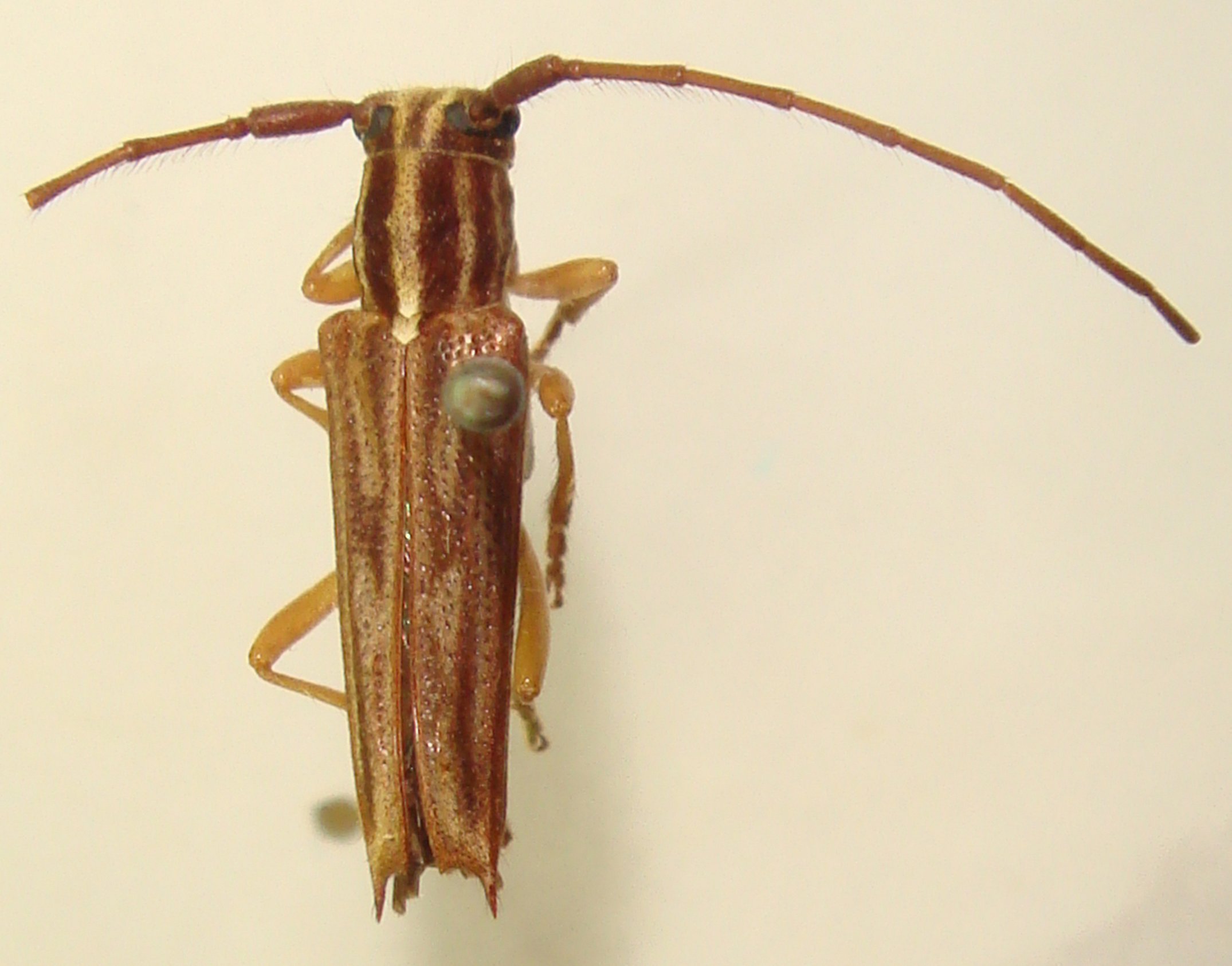
Specimen Type: syntype Institution: MNHN Museum of Natural History Paris, France Photographer: Meiying Lin Collection Location: Tonkin, Vietnam 67558
|

Photographer: Andre Skale, Cerambycoidea Forum Determiner: Meiying Lin Collection Location: Tam Dao, Vietnam 49829
|