New Search Family, Subfamily and Tribe List

SubFamily Lamiinae

Tribe Saperdini
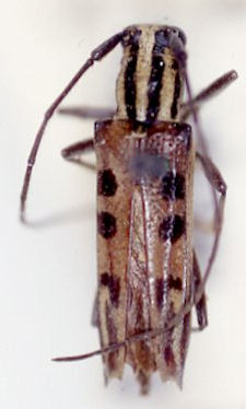
Glenea ornamentalis Breuning 1953

Specimen Type: holotype
Sex: m
Institution: IRSNB Royal Belgian Institute of Natural Sciences, Brussels, Belgium
Photographer: Meiying Lin
Collection Location: Kodaikanal, Tamil Nadu, India
67555


Photographer: Meiying Lin
67556


Photographer: Jim Cope
Collection Location: India
49822

130425