
Specimen Type: holotype Sex: f Institution: IRSNB Royal Belgian Institute of Natural Sciences, Brussels, Belgium Photographer: Meiying Lin Collection Location: Russell Islands, Solomon Islands 67546
|

Specimen Type: paratype Institution: NHMB Naturhistorisches Museum, Basel, Switzerland Photographer: Andreas Weigel Collection Location: Russell Islands, Solomon Islands 67797
|
.jpg)
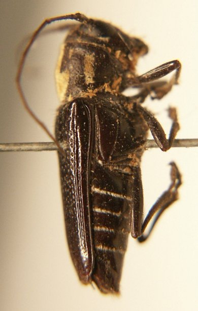
Specimen Type: paratype Institution: NHMB Naturhistorisches Museum, Basel, Switzerland Photographer: Andreas Weigel Collection Location: Russell Islands, Solomon Islands 67798
|
|