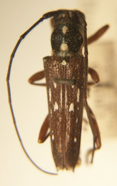
_Pascoe_BMNH_Macassar_Sulawesi_Indonesia_LGB.jpg)
Specimen Type: holotype Sex: f Institution: BMNH British Museum Natural History, London, UK Photographer: Larry G. Bezark Collection Location: Macassar, Sulawesi, Indonesia 47865
|

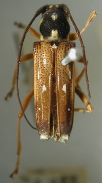
Glenea maja Thomson Specimen Type: holotype Sex: m Institution: MNHN Museum of Natural History Paris, France Photographer: Meiying Lin Collection Location: Molucca Islands, Indonesia 67537
|

Institution: NHMB Naturhistorisches Museum, Basel, Switzerland Photographer: Andreas Weigel Collection Location: Sulawesi 67791
|
.jpg)
Institution: NHMB Naturhistorisches Museum, Basel, Switzerland Photographer: Andreas Weigel Collection Location: Sulawesi 67792
|

Photographer: Gerard Chemin, Cerambycoidea Forum Collection Location: Palopo, Sulawesi 49809
|

Institution: LGBC Larry G. Bezark Collection, Sacramento, California, USA Photographer: Larry G. Bezark Determiner: Jim Cope 49810
|
|