
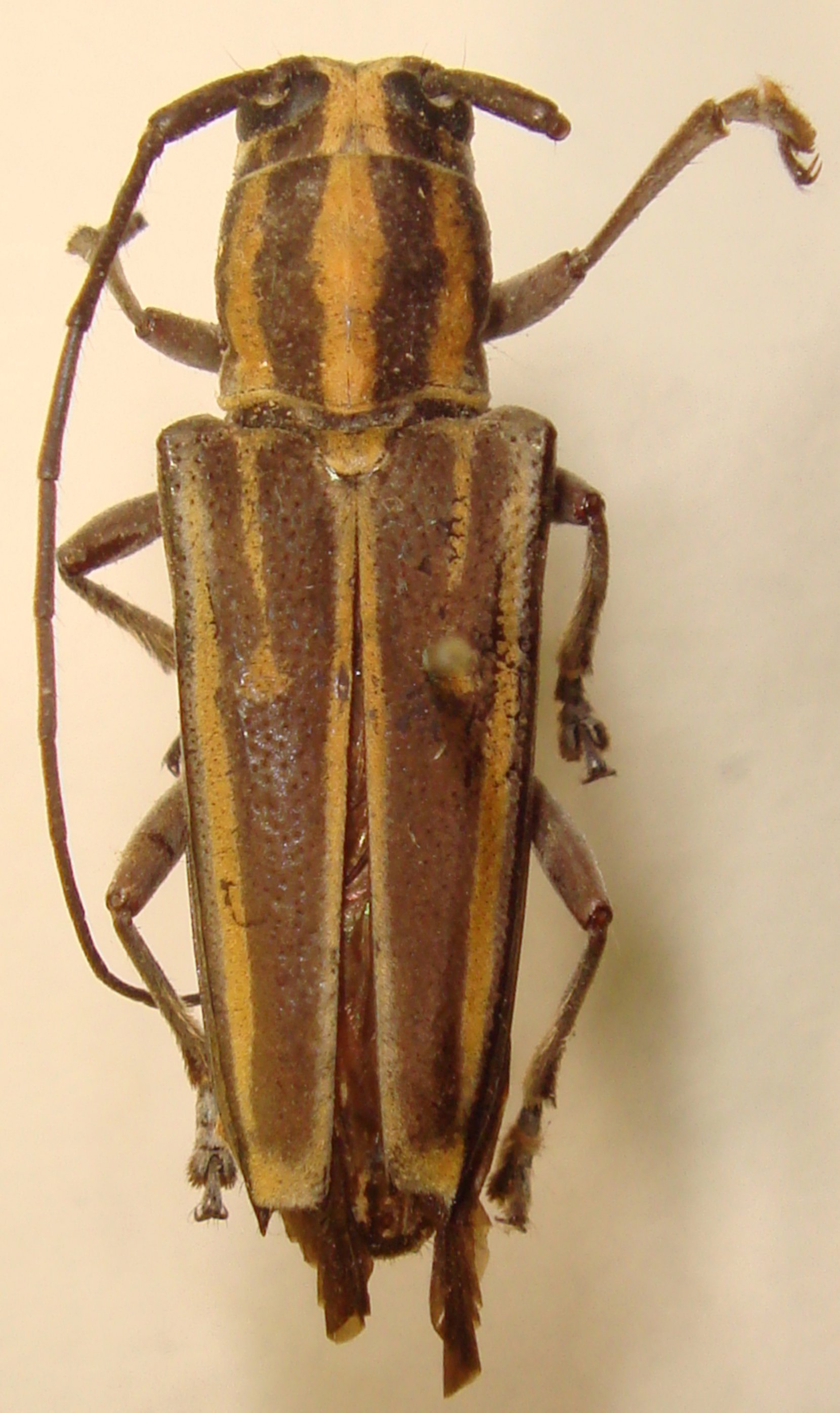
Specimen Type: syntype Sex: f Institution: NHRS Naturhistoriska Riksmuseet, Stockholm, Sweden Photographer: Meiying Lin Collection Location: Sattelberg, Papua New Guinea 67461
|

Institution: LIPI Lembaga Ilmu Pengetahuan, Bogor, Indonesia Photographer: Larry G. Bezark Collection Location: Idenburg River, Papua New Guinea Expedition 43683
|
_Waai_Ambon_det_Gilmour_LIPI_LGB.jpg)
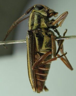
Sex: f Institution: LIPI Lembaga Ilmu Pengetahuan, Bogor, Indonesia Photographer: Larry G. Bezark Determiner: Gilmour Collection Location: Waai, Ambon 43658
|
_Waai_Ambon_det_Gilmour_LIPI_LGB.jpg)
Sex: f Institution: LIPI Lembaga Ilmu Pengetahuan, Bogor, Indonesia Photographer: Larry G. Bezark Determiner: Gilmour Collection Location: Waai, Ambon 43659
|

Institution: LIPI Lembaga Ilmu Pengetahuan, Bogor, Indonesia Photographer: Larry G. Bezark Collection Location: Idenburg River, Papua New Guinea Expedition 43680
|

Institution: LIPI Lembaga Ilmu Pengetahuan, Bogor, Indonesia Photographer: Larry G. Bezark Collection Location: Idenburg River, Papua New Guinea Expedition 43681
|

Institution: LIPI Lembaga Ilmu Pengetahuan, Bogor, Indonesia Photographer: Larry G. Bezark Collection Location: Idenburg River, Papua New Guinea Expedition 43682
|
|