_Breuning_BMNH_Lampang_Sumatra_LGB.jpg)
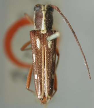
Specimen Type: holotype Sex: f Institution: BMNH British Museum Natural History, London, UK Photographer: Larry G. Bezark Collection Location: Lampang, Sumatra 47812
|
_Breuning_BMNH_Lampang_Sumatra_LGB.jpg)
Specimen Type: holotype Sex: f Institution: BMNH British Museum Natural History, London, UK Photographer: Larry G. Bezark Collection Location: Lampang, Sumatra 47813
|