
Specimen Type: holotype Sex: f Institution: MNHN Museum of Natural History Paris, France Photographer: Meiying Lin Collection Location: Kuilu, RP Congo 67508
|
_Lepesme_Breun Type MHNL_Sudre_pic.jpg)
Glenea lunulata obscuripes Lepesme & Breuning Specimen Type: holotype Institution: MHNL Museum of Natural History Lyon, Lyon, France Photographer: Jerome Sudre 75239
|

Institution: LGBC Larry G. Bezark Collection, Sacramento, California, USA Photographer: Larry G. Bezark Determiner: Jerome Sudre, Cerambycoidea Forum Collection Location: Obout, Cameroon 46129
|

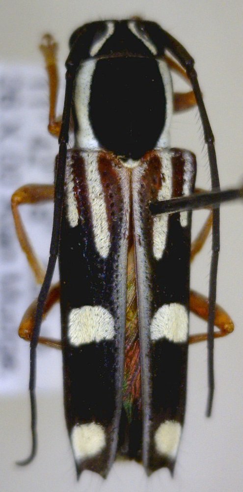
Institution: LGBC Larry G. Bezark Collection, Sacramento, California, USA Photographer: Larry G. Bezark Determiner: Jerome Sudre, Cerambycoidea Forum Collection Location: Obout, Cameroon 46130
|
|